HP Storage Essentials SRM Enterprise Edition 6.0 Application Integration Software for SAP ACC version A.02.01 User Guide (First Edition: July 2008)
Table Of Contents
- HP Storage Essentials SRM Enterprise Edition 6.0
- Contents
- About This Guide
- SAP Adaptive Computing Overview
- Creating an Adaptive Landscape
- Install HP Storage Essentials SRM and HP SIM
- Install the Application Integration Software for SAP ACC
- Interprocess Communications
- Install the Integration Library on Managed Nodes
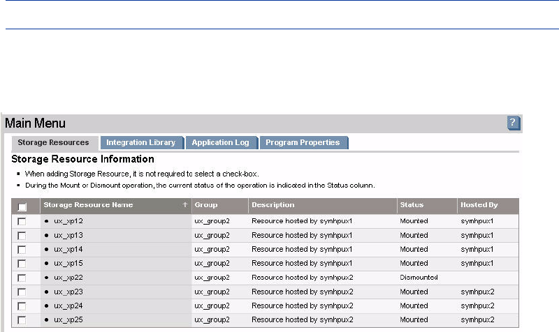
- Storage Resource Information
- Application Logs
- Program Properties
- Operational Details
- Index

User Guide 37
NOTE: This process can take some time, due to storage provisioning to the reserve pool.
After successful completion of adding a Storage Resource, the HP Storage Essentials SRM SAP
ACC Integration Software returns to the Main Menu and the newly added Storage Resource is
displayed in the table of configured Storage Resources.
Figure 10 Storage resource information displayed in Main Menu
The Status column displays the current status of this storage. A Mounted status means that a resource
is currently active on a specific server indicated by the Hosted By column. If a resource is not
presented, then the resource status changes to Dismounted and the Hosted by column is empty.
Other possible values for the Status field are:
• Mounted - A resource is currently active on the server listed in the Hosted By column
• Mounting - A resource is starting on the server listed in the Hosted By column
• Dismounted - A resource is not currently active on the server listed in the Hosted By column
• Dismounting - The resource is in the process of stopping on the server listed in the Hosted By
column
• Failed - A process of the mount or unmount operations has failed and resource is in some failed
status.
• Unknown - This is displayed when an unexplained error occurs in the application.










